El huracán Beryl se perfila como uno de los más fuertes en la historia, aunque no va a llegar directamente al departamento de La Guajira, las afectaciones que puede ocasionar debido a su acercamiento, logran que se tomen ciertas medidas por parte de la Unidad de Riesgo.
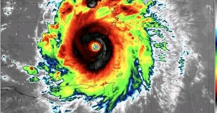
La atención que existe en todo el país, sobre todo en la costa caribe y zonas isleñas del mismo por el paso del huracán es alarmante, debido a que desde 1850, cuando se comenzaron a establecer estos sistemas de análisis de los huracanes, no se presentaba un ciclón de esta magnitud, el cual ya se encuentra en categoría 5.
La Guajira no estará afectada de manera directa por Beryl, pero su acercamiento producirá coletazos que alcanzarían a ocasionar fuertes daños, de este modo, mediante la Unidad de Riesgo nos estamos preparando para enfrentar esta situación.
Por su parte, Estefany Atencia directora de la Unidad de Riesgo del departamento de La Guajira, comenta las medidas que se toman para afrontar la problemática del huracán: “El día domingo cuando ascendimos a categoría alerta amarilla, nosotros como Consejo Departamental de Gestión de Riesgos, nos convocamos de manera inmediata con las Entidades Operativas, Empresas Prestadoras de Servicios Públicos y los Miembros del Consejo Departamental, para activar sala de crisis, estamos trabajando las 24 horas del día en monitoreo y replica de recomendaciones y de boletines, en el momento, la red hospitalaria se encuentra en alerta verde y las autoridades marítimas ya emitieron recomendaciones.”
Por otro lado, Atencia manifestó las recomendaciones por parte de la Unidad de Riesgo y estar atentos a los canales oficiales para estar bien informados del huracán, debido a que hay medios de comunicación que emiten noticias falsas para sembrar miedo en la comunidad: “A nosotros nos afectarían las bandas alimentadoras que llegan tras el impacto del huracán, así que hemos emitido las recomendaciones a los municipios, a la comunidad en general y decimos que se abstengan de cruzar ríos y arroyos, cuenten los techos y presten atención a los boletines de las recomendaciones emitidas en los canales oficiales, porque hay muchos canales que les gusta sembrar pánico a la comunidad, hay que mantener la calma en estos momentos, ya se sabe que no nos va a tocar directamente, pero sus bandas alimentadoras generarán bastantes lluvias que vienen acompañadas de vientos fuertes y tormentas tropicales.”








